Prefeitura promove mudanças viárias no Nova Mogilar para melhorar a fluidez do trânsito
Alterações nas vias entram em vigor no sábado (21/03) e buscam organizar o fluxo de veículos na região; obras preparatórias começaram no último final de semana
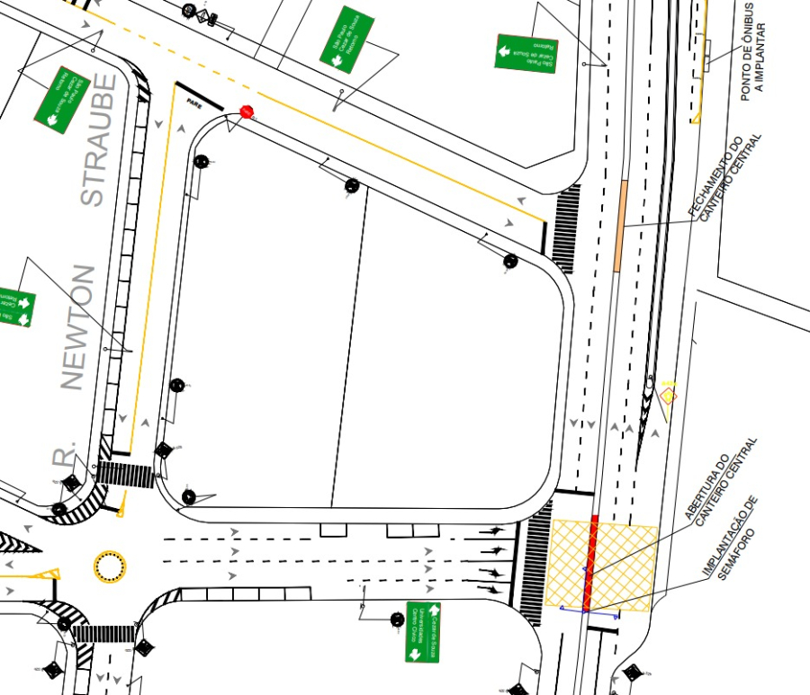
Divulgação/PMMC A Prefeitura de Mogi das Cruzes, por meio da Secretaria Municipal de Mobilidade e Trânsito, promoverá alterações viárias na região da Avenida Francisco Rodrigues Filho, no Nova Mogilar, a partir do próximo sábado (21/03). As mudanças incluem nova sinalização, alteração de sentido de via, implantação de semáforo e ajustes no canteiro central.
As obras no canteiro da Avenida Francisco Rodrigues Filho, na altura do encontro com a Avenida Antônio de Almeida, tiveram início neste domingo (15/03), com serviços preparatórios para a implantação das mudanças viárias.
O objetivo é melhorar a organização do trânsito, com aperfeiçoamento na fluidez do tráfego e oferecer novas alternativas de deslocamento aos motoristas. Para os moradores locais, as intervenções também vão facilitar o acesso às vias internas do bairro e aos principais eixos viários da região, reduzindo a necessidade de deslocamentos mais longos para chegar a outros pontos da cidade, incluindo comércios e novo acesso ao distrito de Cezar de Souza.
"As intervenções foram planejadas a partir de estudos técnicos realizados pelas nossas equipes e também após ouvir moradores da região, que concentra grande número de condomínios residenciais e registra intenso fluxo de veículos", afirmou o vice-prefeito Téo Cusatis.
Ele acrescenta que a região recebeu muitos empreendimentos nos últimos anos e o volume de veículos aumentou bastante. "A Prefeitura está promovendo essas mudanças para melhorar a organização do trânsito e a qualidade de vida de quem vive e circula por ali", completou o vice-prefeito.
Entre as principais mudanças está a implantação de mão única de direção na Avenida Louraci Della Nina Tavares, no trecho entre a Rua Newton Straube e a Avenida Francisco Rodrigues Filho. A alteração ajudará a organizar a circulação de veículos e facilitar o acesso à via local, beneficiando principalmente os moradores dos condomínios da região, que passam a contar com uma alternativa mais direta de entrada e saída do bairro.
Outra mudança importante será a implantação de um novo semáforo na esquina da Avenida Louraci Della Nina Tavares com a Avenida Francisco Rodrigues Filho, que contribuirá para disciplinar os movimentos de conversão para acesso à Avenida Francisco Rodrigues Filho, sentido Cezar de Souza, e garantir maior segurança viária.
Também haverá a implantação de sinalização de proibição de conversão à direita na Avenida Francisco Rodrigues Filho para a Avenida Louraci Della Nina Tavares.
Com as alterações, a Prefeitura de Mogi das Cruzes também busca incentivar a utilização de rotas alternativas para acesso às vias internas da região.
Uma das opções é que motoristas que trafegam pela Avenida Francisco Rodrigues Filho no sentido Centro utilizem a conversão à direita para a Avenida Antônio de Almeida e sigam pela Rua Newton Straube, acessando posteriormente a Avenida Yoshiteru Onishi, sentido Mogi-Dutra.
A medida também deve contribuir para distribuir melhor o fluxo de veículos nas vias do entorno e facilitar o deslocamento de moradores do Nova Mogilar em direção a bairros vizinhos, como César de Souza.
Toda a região receberá reforço de sinalização horizontal e vertical para orientar os motoristas sobre as novas regras de circulação. A recomendação é que os condutores redobrem a atenção à nova sinalização ao trafegar pela região nos primeiros dias após as mudanças.
O secretário municipal de Mobilidade e Trânsito, Felício Kamiyama, explicou que as alterações buscam organizar melhor os acessos às vias locais e distribuir o fluxo de veículos. "Estamos implantando mudanças importantes na sinalização e no sentido das vias para orientar melhor os deslocamentos e incentivar o uso de caminhos alternativos. Com isso, a população passa a contar com novas opções de trajeto, como uma rota alternativa para quem segue em direção a São Paulo, por exemplo. Nosso objetivo é tornar o trânsito mais organizado e seguro para todos", disse.
A Secretaria Municipal de Mobilidade e Trânsito fará o acompanhamento das mudanças após a implantação das novas regras de circulação. "O monitoramento será constante e, se necessário, poderemos realizar ajustes. A Prefeitura está sempre aberta a ouvir a população e aprimorar as soluções de mobilidade urbana", concluiu o secretário.
*Investimentos em Mobilidade*
As intervenções viárias fazem parte de um conjunto mais amplo de investimentos realizados pela atual gestão para melhorar a mobilidade urbana em Mogi das Cruzes. Um dos principais projetos é o Corredor Nordeste, que fará a ligação entre os distritos de César de Souza e Rodeio e ajudará a reduzir o fluxo de veículos em duas importantes avenidas da região: Ricieri José Marcatto e João XXIII. A obra já está cerca de 90% concluída e a expectativa é de que seja entregue nos próximos meses.
Outro investimento em andamento é a duplicação da avenida Pedro Romero, importante via de acesso à UPA do Rodeio. A intervenção vai ampliar a capacidade de circulação de veículos e melhorar o deslocamento de motoristas que vêm de bairros como Vila Suíssa e Botujuru, além de usuários que chegam de cidades vizinhas, como Guararema.
A Prefeitura também está finalizando os trâmites para a licitação da Avenida Parque 1, nova ligação viária que conectará a avenida Francisco Rodrigues Filho, na rotatória próxima ao Parque Centenário, à avenida Antônio de Almeida, nas proximidades da ponte do Rodeio. A obra contribuirá para melhorar os acessos de entrada e saída da cidade e distribuir melhor o fluxo de veículos na região.
Na última semana, a Câmara Municipal também aprovou um projeto que autoriza a Prefeitura a firmar convênio com a Caixa Econômica Federal no valor de R$ 171 milhões. Os recursos serão destinados à recuperação completa da avenida Miguel Gemma e à construção de um novo trecho da via perimetral, que fará a ligação entre as rodovias Mogi-Bertioga e Mogi-Salesópolis, avançando na consolidação do anel viário de Mogi das Cruzes.








COMENTÁRIOS